Yleiskuvaus
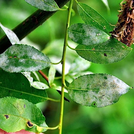
Pajunhärmä kuuluu kotelosienten kaareen ja härmäsienten luokkaan. Suvussa on useita satoja erilaisia piensieniä, jotka loisivat putkilokasveilla ja voidaan määrittää yleensä isäntäkasvin mukaan. Pajunhärmä muodostaa harmahtavia seittimäisiä laikkuja kasvin lehtien pinnalle, molemmin puolin. Härmää esiintyy usein koko kesän ja vähitellen härmälaikkuihin ilmestyy runsaasti pistemäisiä mustia kotelopusseja, jotka ovat aluksi kellertäviä, mutta muuttuvat pian mustiksi. Härmä voi peittää lopulta koko lehden.
Levinneisyys
Härmää tavataan yleisenä useilta pajukasveilta lähes koko maasta. Sen esiintyminen on vaihtelevaa eikä sitä löydä joka kesä hyviltäkään paikoilta. Joskus se peittää pajupensaat kokonaan.
Löydettyjä isäntäkasveja
Luopioinen Haapa Populus tremula XXX Harvinainen Raita Salix caprea XXX Yleinen Mustuvapaju Salix myrsinifolia XXX Yleinen Harmaapaju Salix cinerea XXX Harvinainen Kaitasiropaju Salix repens ssp. rosm. Ahopaju Salix starkeana XXX Harvinainen Kiiltopaju Salix phylicifolia XXX Harvinainen

